SE-13-72-6-W6 - , Clairmont. T8X 5B2
Description
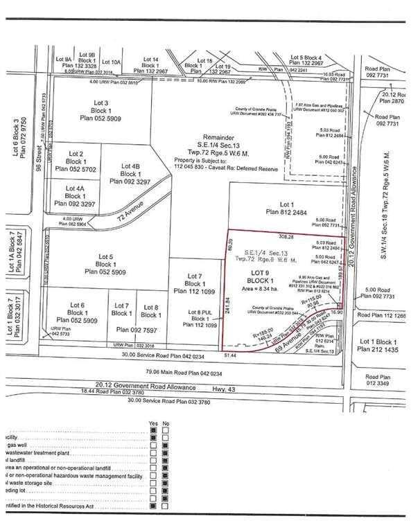
An opportunity to purchase 20.6+/- acres of commercial property in Crossroads North. The seller will subdivide a parcel to suit your size and dimensions, submit your offer and request for seller's review. This property is being rezoned as Rm-4 and is the most southeasterly portion of section 13, and is identified as commercial property in the area structure plan of Crossroads North. There are services to the property line, including a curb stop on the property. The property has 69th Ave as a South boundary and Range Road 60 as an east boundary and is at the junction of alternate truck route access to Highway 43 North and East of Grande Prairie. The property slopes to the South and East and there is a berm on the South side that can be removed. The land has great access and is ready for the new owner to develop according to their needs. Don't miss this opportunity for a wonderful property in a busy area. The property is very visible from Highway 43. This property is priced to sell.
Listing Information
For fast response, please email us via the “Inquiry Via Email” button with your contact information.
Listing MLS#:A2294477
SE-13-72-6-W6 - ,
Clairmont. T8X 5B2
Liang Commercial Real Estate
To purchase a business or property, please visit "Our People", to find a commercial expert who specializes in the type of business or property you are looking for, speaks your language, and has an office in your city.
This listing is presented by CENTURY 21 BRAVO REALTY, courtesy of "All Peace Realty Ltd." listing brokerage.
Google map



