NW 5-45-6-W4TH , Rural Wainwright No. 61, M.D. of. T9W 1W1
Description
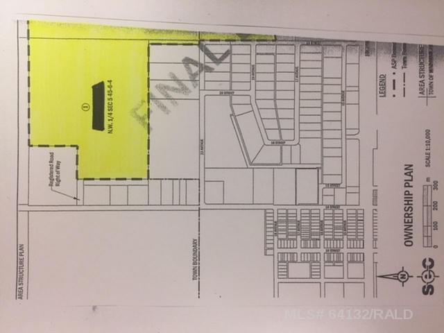
ATTENTION DEVELOPERS/INVESTORS! 86.18 acres located on the northern outskirts of Wainwright. Parcel of land recently annexed by the Town of Wainwright and is currently zoned light industrial, however, there is opportunity for potential investor/developer to have parcel rezoned in accordance with the Town of Wainwright zoning bylaws. A proposed Town of Wainwright land use plan is available for viewing. As the Town of Wainwright has opted to no longer be involved in the development and sale of industrial lots, this is a great investment opportunity for future development. There also are no more industrial serviced lots for sale from the Town of Wainwright, again making this parcel of land a great investment for future private development!
Listing Information
For fast response, please email us via the “Inquiry Via Email” button with your contact information.
Listing MLS#:A2240698
NW 5-45-6-W4TH ,
Rural Wainwright No. 61, M.D. of. T9W 1W1
Liang Commercial Real Estate
To purchase a business or property, please visit "Our People", to find a commercial expert who specializes in the type of business or property you are looking for, speaks your language, and has an office in your city.
This listing is presented by CENTURY 21 BRAVO REALTY, courtesy of "RE/MAX BAUGHAN REALTY " listing brokerage.
Google map



